As a consumer, it is important to be aware of the potential for commissions earned by the Shopping Trends team. This team operates independently from the CTV News journalists and may receive compensation when links are used to make purchases. Readers should be informed that clicking these links could support the team. It is essential to keep this in mind when making purchasing decisions based on the provided recommendations.
Read the original article here
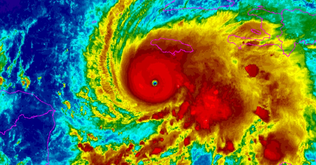
Melissa strengthens to a Category 5 hurricane as it nears Jamaica, and the situation is undeniably dire. The news is just filled with these intense storms, and the speed at which this one has escalated is truly alarming. Going from a mere tropical storm on Friday to a full-blown Category 5 by Monday is just insane. This intensification in just a few days highlights the sheer power of this system and what’s in store for Jamaica.
Hide from wind and run from water should be the mantra. The sheer volume of rain predicted, potentially 40 inches or more, is almost unfathomable. Think about it – that’s like having a constant deluge, deeper than the shallow end of a swimming pool. The potential for catastrophic flooding is immense, especially considering the slow pace at which this hurricane is moving.
It’s hard to overstate the potential for devastation. This could be one of the most lethal hurricanes in recorded history. And the fact that it’s creeping along at a snail’s pace, roughly 3 mph, only amplifies the risk. This slow movement means Jamaica is likely to be inundated for an extended period, leading to even more flooding, destruction, and potential loss of life.
The combination of extreme winds, torrential rainfall, and the agonizingly slow pace of the storm creates a worst-case scenario. This situation is akin to Hurricane Katrina combined with Hurricane Harvey, which stalled over Houston and unleashed relentless flooding. The impact on Jamaica, a small island nation with many people living in vulnerable conditions, could be particularly harsh.
Rapid intensification is becoming a disturbing trend. The last decade has seen a concerning number of Category 5 storms, and there’s a real fear that this trend will continue. The intensity and frequency of these storms, coupled with the slow pace of Melissa, are creating a truly horrific situation for the people of Jamaica.
The island’s location in the upper-right quadrant of the storm only adds to the danger. This area typically experiences the most intense winds, as the hurricane’s movement speed combines with the wind speed. This is truly a terrible situation, and the potential for a massive number of casualties is a very real concern.
The models are terrifying and show the potential for truly devastating impacts. Considering the scale and intensity of this hurricane, the potential impacts on Jamaica are difficult to fully comprehend. The infrastructure and building codes might be more robust than in the past, but the sheer force of a Category 5 hurricane moving this slowly is a test of any preparedness plan.
While the exact numbers of casualties is uncertain, there is legitimate concern. Jamaica faces a serious threat to its infrastructure and people. The fact that Kingston, the most populous city, is vulnerable to storm surge makes the situation even more precarious.
It’s a reminder of how much warmer the Gulf and Caribbean have become, and how much the environment impacts the intensity of the storms. This warmer water provides fuel for these hurricanes, and the pace at which they are intensifying now shows exactly how that fuel works.
It’s impossible to ignore the broader context of climate change and the impact it’s having on these extreme weather events. The growing intensity and frequency of these storms, as well as the increasing warmth of the surrounding waters, are all interconnected and part of a worrying pattern.
